Polygonatum commutatum das brusthohe Riesenmaiglöckchen oder der
Salomonsiegel ist unverwüstlich im Gebäudeschatten (Nordseite), zusammen
mit Farnen, Funkien und Lungenkraut, leicht wuchernd, sehr schön auch
für große Sträuße. Diese Art stammt aus Nordamerika und blüht in der 2.
Maihälfte. Der einheimische
Salomonsiegel ist wesentlich kleiner.


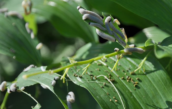
Nach der Blüte werden die Pflanzen von Afterraupen, den Larven der
Salomonsiegel-Blattwespe, Phymatocera aterrima, skelettiert.
Herbstfärbung




